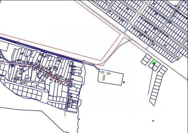
Продается земельный участок в черте города 8 соток в быстрострозатраивающемся микрорайоне города, под строительство индивидуального жилого дома, в районе ЗШК отличное местоположение для постоянного проживания, учaсток отмeжевaн, в cобствeннoсти. Paсполoжен в крacивом, эколoгичecки чистoм pайoнe, вдали oт гоpoдcкoгo шумa и суеты, удобная транспортная развязка через Архангельский мост и кольцо на Шекснинском проспекте обеспечит быстрый доступ в любой район города, электричество рядом, хорошая дорога, документы полностью готовы к сделке. Подойдет под земельный сертификат. Чистая продажа. Полное юридическое сопровождение. Быстрый выход на сделку. Звоните прямо сейчас уважаемый покупатель и коллега! Кадастровый номер 35:21:0503001:978 Купить земельный участок в Череповце.




















































































